Modern meteorology owes much of its progress to radar technology. Radar systems provide critical real-time insights into weather conditions, helping forecasters predict severe weather and issue timely warnings. Among the many tools in a meteorologist’s arsenal are radar signatures - unique patterns observed in radar imagery , which indicate extreme weather phenomena. In this article, we’ll decode the most significant radar signatures: velocity, hook echoes, bow echoes, and debris balls.
Velocity Signature: A Measure of Rotational Winds
Velocity signature measures the wind’s motion within a storm using Doppler radar. By analyzing changes in the frequency of radar waves, meteorologists can detect areas of rotation or strong winds, even if there’s no precipitation.
Why Velocity Signature Matters
Velocity signatures are crucial for identifying potential tornadoes and other severe wind-related events. They help meteorologists pinpoint areas of concern where rotation occurs, even before a hook echo or debris ball becomes visible on radar. This early detection capability allows for more timely warnings.
Velocity Signature on Radar: Real-Life Example
During the 2019 Dayton, Ohio, tornado outbreak, velocity signatures played a vital role in tracking multiple tornadoes. These signatures helped forecasters issue warnings that allowed residents to seek shelter in time, significantly reducing casualties.
Source: Weather Underground
Hook Echo: A Twisting Tale of Tornadoes
A hook echo is a distinctive, hook-shaped pattern often visible on radar reflectivity scans during severe thunderstorms. This signature forms when precipitation wraps around the backside of a rotating updraft, known as a mesocyclone.
Why Hook Echo Matters
Hook echoes are a sign of potential tornado formation. When a storm develops a mesocyclone, it creates the conditions necessary for a tornado to form. The hook shape indicates the presence of rotation within the storm, often preceding a tornado touchdown.
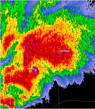
Hook Echo on Radar: Real-Life Example
The supercell that produced an infamous Joplin, Missouri, tornado of 2011 displayed a pronounced hook echo on radar. Meteorologists used this signature to issue advanced tornado warnings, saving countless lives despite the storm’s devastating impact.
Source: National Weather Service (NWS), Federal Aviation Administration (FAA), and United States Air Force (USAF) - (Gibson Ridge Radar software), Public domain, via Wikimedia Commons
Bow Echo: The Bow That Brings Damaging Winds
A bow echo is a curved, bow-like pattern that appears on radar reflectivity during fast-moving thunderstorm complexes. This shape forms due to strong winds pushing the leading edge of a storm line outward.
Why Bow Echo Matters
Bow echoes are associated with straight-line winds, which can be as destructive as a weak tornado. These winds are capable of toppling trees, damaging structures, and causing power outages over large areas.
Bow Echo on Radar: Real-Life Example
The 2020 Midwest Derecho, a long-lived windstorm, was characterized by a massive bow echo on radar. This event produced wind speeds exceeding 100 mph and caused widespread devastation across several states.
Source: Storymaps
Debris Ball: Pinpointing Tornado Destruction
A debris ball is a small, circular area of high reflectivity seen on dual-polarization radar, often accompanying a tornado. Unlike precipitation, the debris ball reflects scattered radio waves from objects such as trees, buildings, and other debris lifted into the air by a tornado.
Why Debris Ball Matters
Debris balls confirm that a tornado is not only present but also causing damage on the ground. This signature provides critical information for meteorologists to issue emergency warnings and for emergency responders to assess affected areas.
Debris Ball: Real-Life Example
The 2013 Moore, Oklahoma, tornado produced a well-defined debris ball on radar. This signature confirmed the tornado’s intensity and guided emergency response efforts.
Source: EarthSky
The Role of Radar Signatures in Weather Forecasting
Radar signatures like hook echoes, bow echoes, and debris balls are invaluable for severe weather forecasting. By identifying these patterns, meteorologists can:
- Issue timely warnings. Radar signatures allow forecasters to detect potential tornadoes, damaging winds, and other hazards well before they strike.
- Enhance public safety. Early identification of extreme weather signatures enables communities to prepare, reducing casualties and property damage.
- Improve forecast models. Analyzing radar data helps refine models for predicting storm behavior, leading to more accurate forecasts.
Conclusion
Understanding radar signatures is crucial for interpreting the dynamics of extreme weather. Velocity signatures indicate rotational winds, hook echoes warn of tornado formation, bow echoes highlight the threat of damaging winds, and debris balls confirm ongoing destruction. By leveraging these radar patterns, meteorologists continue to protect lives and property, underscoring the indispensable role of radar technology in modern weather forecasting.
Stay tuned to your local weather app or meteorological service for radar updates, and always heed severe weather warnings. The science behind these signatures might save lives.




